Planning application

25/01376/TELE

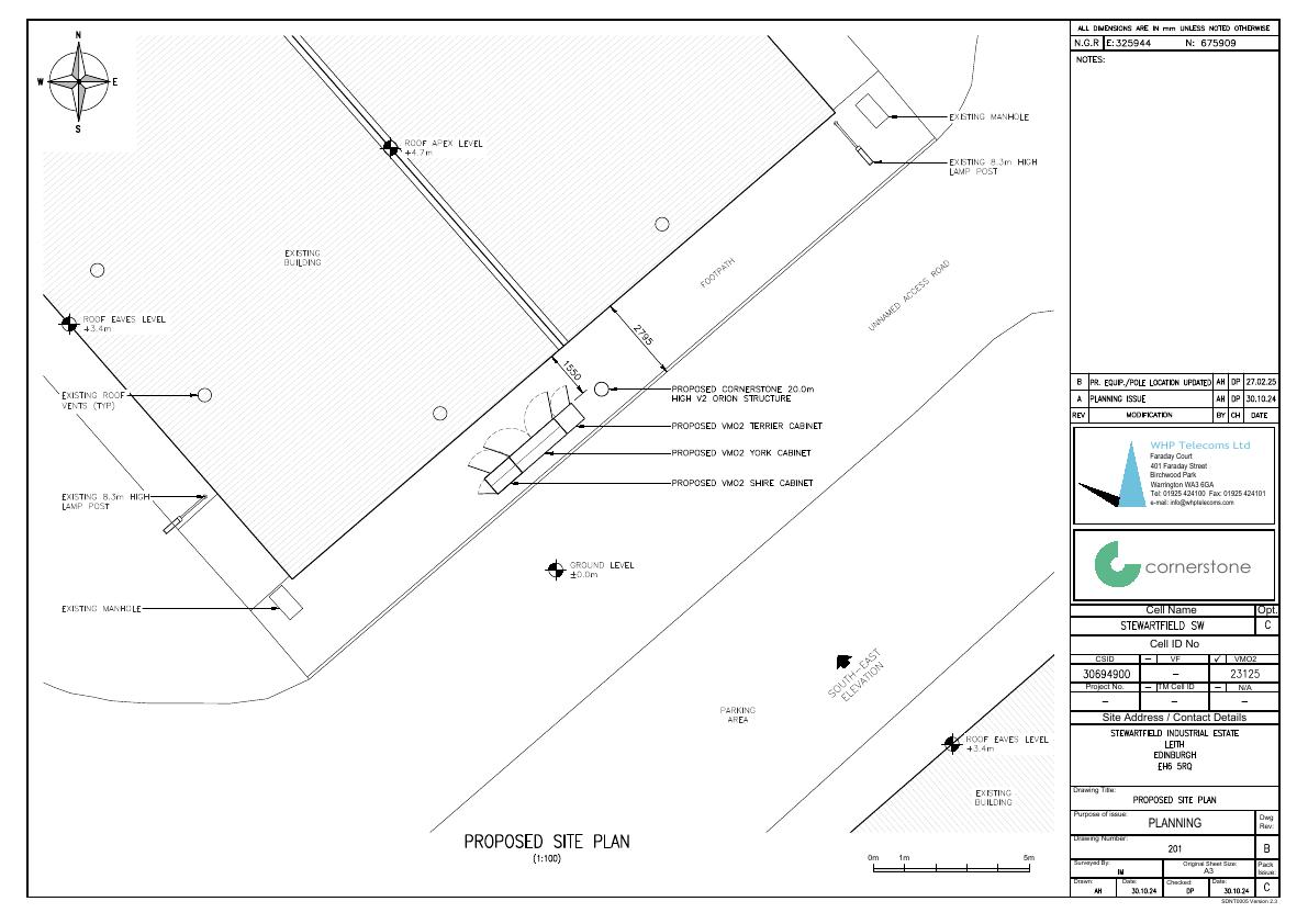
Proposed Telecoms Apparatus 5 Metres South Of 24 Stewartfield Bonnington Edinburgh

20 m telecom mast with 6 antennas, two 300 mm dishes and three ground cabinets beside Stewartfield Industrial Estate, enhancing 4G/5G coverage while occupying a small roadside strip. .

Status: Application RefusedCategory: TelecommunicationsReceived: 17 March 2025

Core Details

Reference
25/01376/TELE
Address
Proposed Telecoms Apparatus 5 Metres South Of 24 Stewartfield Bonnington Edinburgh
Status
Application Refused
Category
Telecommunications
Impact Scale
5/10

Timeline

Received
Validated
Last Scraped
Record Created

Additional Application Data

Latitude
55.9704049
Longitude
-3.1882478

Application Summary

AI Summary

20 m telecom mast with 6 antennas, two 300 mm dishes and three ground cabinets beside Stewartfield Industrial Estate, enhancing 4G/5G coverage while occupying a small roadside strip. .

Original Description

Prior Notification for Electronic Communication Code Operators.

Supporting Documents (5)