Planning application

25/01660/LBC

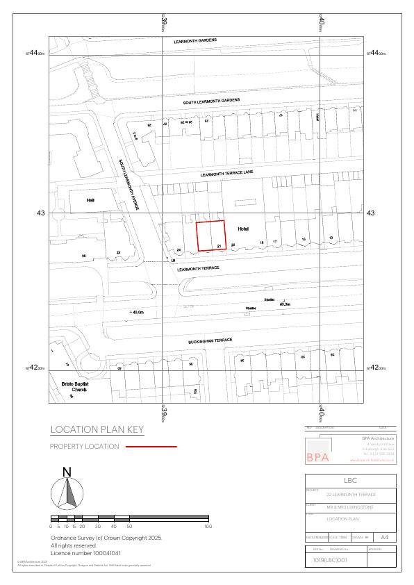
2F 22 Learmonth Terrace Stockbridge Edinburgh EH4 1PG

B-listed flat at 22 Learmonth Terrace reworked: non-original partitions removed to restore room proportions, two doors blocked, two new openings added, twin rear extract vents drilled; changes all internal. .

Status: Application GrantedCategory: Internal Works & AccessibilityReceived: 28 March 2025

Core Details

Reference
25/01660/LBC
Address
2F 22 Learmonth Terrace Stockbridge Edinburgh EH4 1PG
Status
Application Granted
Category
Internal Works & Accessibility
Impact Scale
2/10

Timeline

Received
Validated
Last Scraped
Record Created

Additional Application Data

Latitude
55.955445
Longitude
-3.2199369

Application Summary

AI Summary

B-listed flat at 22 Learmonth Terrace reworked: non-original partitions removed to restore room proportions, two doors blocked, two new openings added, twin rear extract vents drilled; changes all internal. .

Original Description

Internal alterations including removal of some non-original partitions, blocking up some existing doorways and creating new openings with new doors to match existing. Additionally there will be two new holes cored for extracts on the rear elevation (as amended).

Supporting Documents (5)