Planning application

25/02109/FUL

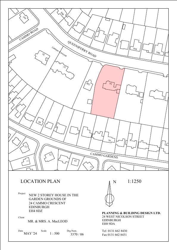
24 Cammo Crescent Cammo Edinburgh EH4 8DZ

Two-storey house in the garden of 24 Cammo Crescent; 219 m footprint, sizeable 966 m garden, with new driveway and dedicated vehicular access off Cammo Gardens. .

Status: Application RefusedCategory: New-Build & Major DevelopmentReceived: 24 April 2025

Core Details

Reference
25/02109/FUL
Address
24 Cammo Crescent Cammo Edinburgh EH4 8DZ
Status
Application Refused
Category
New-Build & Major Development
Impact Scale
5/10

Timeline

Received
Validated
Last Scraped
Record Created

Additional Application Data

Latitude
55.9609402
Longitude
-3.3114711

Application Summary

AI Summary

Two-storey house in the garden of 24 Cammo Crescent; 219 m footprint, sizeable 966 m garden, with new driveway and dedicated vehicular access off Cammo Gardens. .

Original Description

Erection of dwelling house and formation of vehicular access and driveway.

Supporting Documents (5)