Planning application

25/02295/FUL

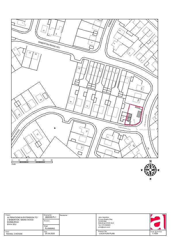
2 Baberton Mains Wood Edinburgh EH14 3DU

Two-storey gable-side addition plus full-width rear single-storey deepen this semi, adding bedroom, bigger kitchen-diner and utility; roofline retained, matching brick/render finish. .

Status: Application GrantedCategory: Extensions & EnlargementsReceived: 5 May 2025

Core Details

Reference
25/02295/FUL
Address
2 Baberton Mains Wood Edinburgh EH14 3DU
Status
Application Granted
Category
Extensions & Enlargements
Impact Scale
5/10

Timeline

Received
Validated
Last Scraped
Record Created

Additional Application Data

Latitude
55.9100746
Longitude
-3.2907782

Application Summary

AI Summary

Two-storey gable-side addition plus full-width rear single-storey deepen this semi, adding bedroom, bigger kitchen-diner and utility; roofline retained, matching brick/render finish. .

Original Description

Extension to existing two storey semi detached house, comprising two storey extension to gable end and continuous single storey extension to rear. (AS AMENDED)

Supporting Documents (3)