Planning application

25/02125/PAN

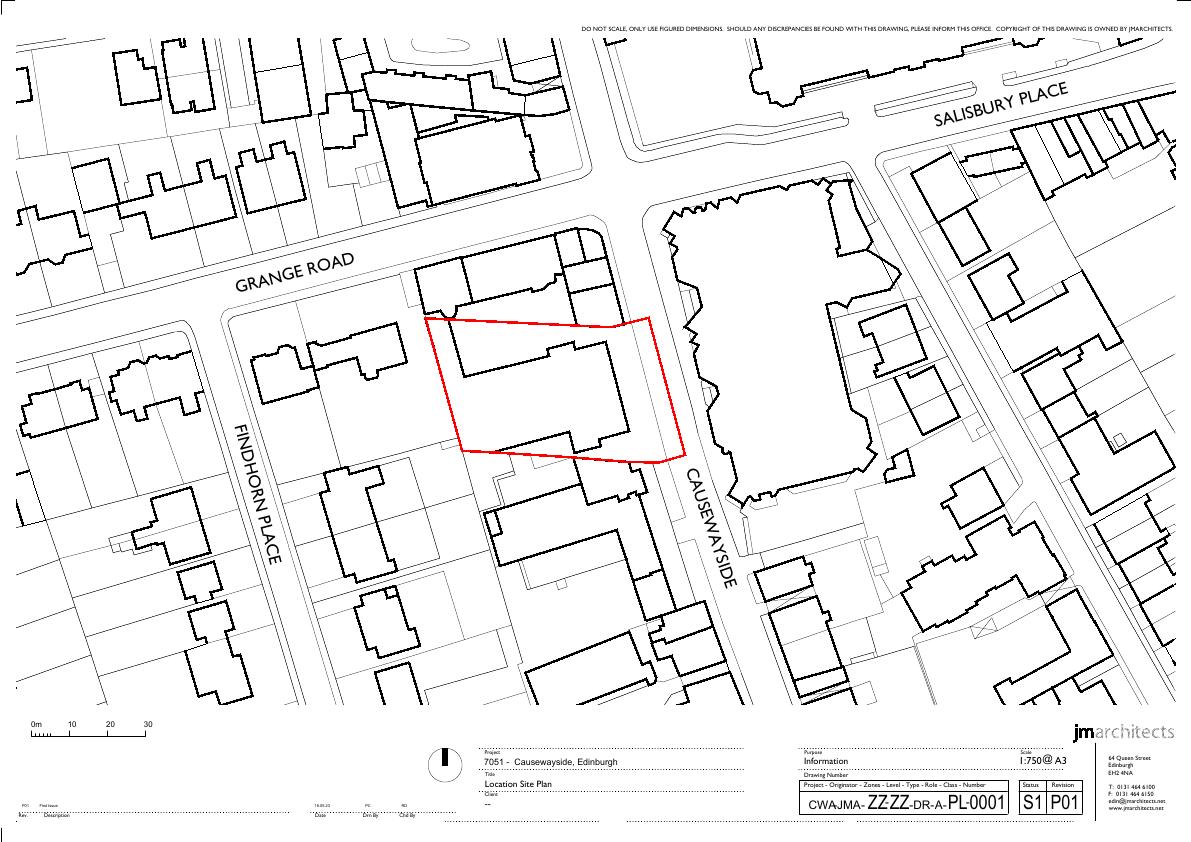
140 Causewayside Sciennes Edinburgh EH9 1PR

Single plot on Causewayside cleared for a new multi-storey student residence, with landscaped courtyard, cycle store and servicing; significant change to streetscape. .

Status: Consultation ApprovedCategory: New-Build & Major DevelopmentReceived: 23 April 2025

Core Details

Reference
25/02125/PAN
Address
140 Causewayside Sciennes Edinburgh EH9 1PR
Status
Consultation Approved
Category
New-Build & Major Development
Impact Scale
7/10

Timeline

Received
Validated
Last Scraped
Record Created

Additional Application Data

Latitude
55.9383877
Longitude
-3.1814818

Application Summary

AI Summary

Single plot on Causewayside cleared for a new multi-storey student residence, with landscaped courtyard, cycle store and servicing; significant change to streetscape. .

Original Description

Demolition of the existing building on site and erection of purpose-built student accommodation with associated works.

Supporting Documents (2)